注意!注意!
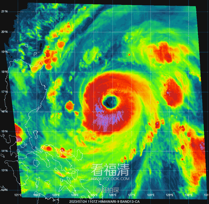
中央气象台最新消息台风“杜苏芮”已升级为超强台风级最大风力16级52米/秒(约187公里/小时)

预计“杜苏芮”将以每小时15~20公里的速度向西北方向移动强度逐渐增强!

今天上午10时福清市启动防台风Ⅳ级应急响应气象专家分析“杜苏芮”影响后果可能类似于2016年的“尼伯特”和“莫兰蒂”

“杜苏芮”有何特点?省气象台预报员马昌明分析,台风“杜苏芮”结构完整紧实,和其它云型较散的台风相比,其风雨影响范围相对集中,云系所经区域降水和风力强度大。目前来看,“杜苏芮”与2016年台风“莫兰蒂”在路径和强度上均有相似之处,已经达到强台风级的“杜苏芮”,在海温较高的海域上将继续发展,台风强度继续加强,登陆时有可能达到强台风或超强台风级。从当前预报路径来看,“杜苏芮”或将在福建中南部沿海到广东东部沿海登陆。预计,27日夜里中南部沿海将会出现较强降水,最强降水将出现在28日登陆当天,全省将有暴雨到大暴雨,局部特大暴雨。不过路径预报仍有一定不确定性,公众还需继续关注最新天气预报。台风“来势汹汹”应该如何防御?不同行业的人群应对台风的措施也不同一起来看看吧台风来临居民避免出门家中备好物资台风是发生在热带或副热带洋面上的低压涡旋,是一种强大而深厚的热带天气系统,常伴有狂风、暴雨和风暴潮,给我国沿海地区造成严重灾害。那么,在台风来临前居民需要做哪些准备?台风来临时如何避险?

在台风来临前,居民要及时收听、收看或上网查阅台风预警信息,了解政府的防台行动对策;随后关紧门窗,关闭电脑、电视等电子设备;储备好食物和水,备好移动电源、手电筒等应急物品;检查电路、炉火、煤气等设施是否安全;居住在各类危旧住房、厂房、工棚的居民,要及时转移到安全地带;如果你已在结实的房屋里,则应在窗玻璃上用胶布贴成“米”字图形,以防窗玻璃破碎。

台风来临时需继续关注台风动态信息,最好不要出门,如果你在外面,千万不要在临时建筑物、广告牌、铁塔、大树等附近避风避雨;如果你是开车,则应立即将车开到地下停车场或隐蔽处;如果你住在帐篷里,应立即收起帐篷,到坚固结实的房屋中避风;如果你在水面上(如游泳),则应立即上岸避风避雨。


渔民需尽快回港避风 无法回港应立即发求救信号台风来临前,出海渔船(包括小型渔船)应尽快回港或向就近港避风,做好防止渔船碰撞措施;滩涂、船舶、水库下游、易受涝地等高危地方的渔民需尽快撤离;加强渔业设施设备的安全检查,保证机械设备的正常运转;加强河蟹、甲鱼等养殖防逃设施的检查、整固;另外,做好因暴雨袭击造成堤坝、塘坝塌方的应急准备,水产养殖品及台风过后疾病暴发的应急准备。海上作业人员遇台风应采取避航方法远离台风中心台风来临前,海上作业人员应立即到避风场所避风,万一躲避不及或遇上台风时,应及时与岸上有关部门联系,争取救援;等待救援时,应主动采取应急措施,迅速果断地采取离开台风的措施,如停(滞航)、绕(绕航)、穿(迅速穿过);强台风过后不久的风浪平静,可能是台风眼经过时的平静,此时海上作业人员千万不能为了保护自己的财产,回去加固船只。

另外,有条件时在船舶上配备信标机、无线电通讯机、卫星电话等现代设备;在没有无线电通讯设备的时候,当发现过往船舶或飞机,或与陆地较近时,可以利用物件及时发出易被察觉的求救信号,如堆“SOS”字样,放烟火,发出光信号、声信号,摇动色彩鲜艳的物品等。遭遇台风时,如何避航?在海上航行的船舶遭遇台风时,为了避免被卷入台风中心或中心外围暴风区,一般采取避航方法。船舶可根据台风的动态和强度不失时机地改变航向和航速,使船位与台风中心保持一定的距离,处于本船所能抗御的风力等级的大风范围以外,采取适当的航行方法,尽快远离台风中心。台风来临前农民需疏通沟渠抢收已成熟的农作物农民朋友在台风消息发布后,对可能遭受台风袭击、发生洪涝灾害的地方早作准备,及时采取防灾避灾措施。对大田作物来说需疏通沟渠,开好田间排水沟,确保排灌畅通;备足救灾农用物资;对稻、玉米、大豆、瓜菜等大田作物已成熟的,及时组织抢收;对大棚等生产设施进行检修加固,同时及时组织田间作业人员撤离。

台风过后,灾后处置也非常关键。针对不同的农作物,采取的措施也不一样。如水稻,切记疏通沟渠,确保排灌畅通,冲洗叶片泥浆,及时施肥,及时喷药,防治病虫害;对于倒伏旱粮作物,在植株尚未形成新根前扶起,并边培土边施肥,促使新根迅速下扎。请大家持续关注!注意防范!