服务热线:0591-39010577 / 85236228
快捷导航
  • 8

26号台风凤凰命名,或将登陆台湾省,影响闽浙沿海

 
小帮 发表于 2025-11-6 10:06:03 | 显示全部楼层 |阅读模式 | 来自福建
3544 4

请登录查看大图。42+万用户选择下载看福清App享受全功能!

您需要 登录 才可以下载或查看,没有账号?立即注册 |

x

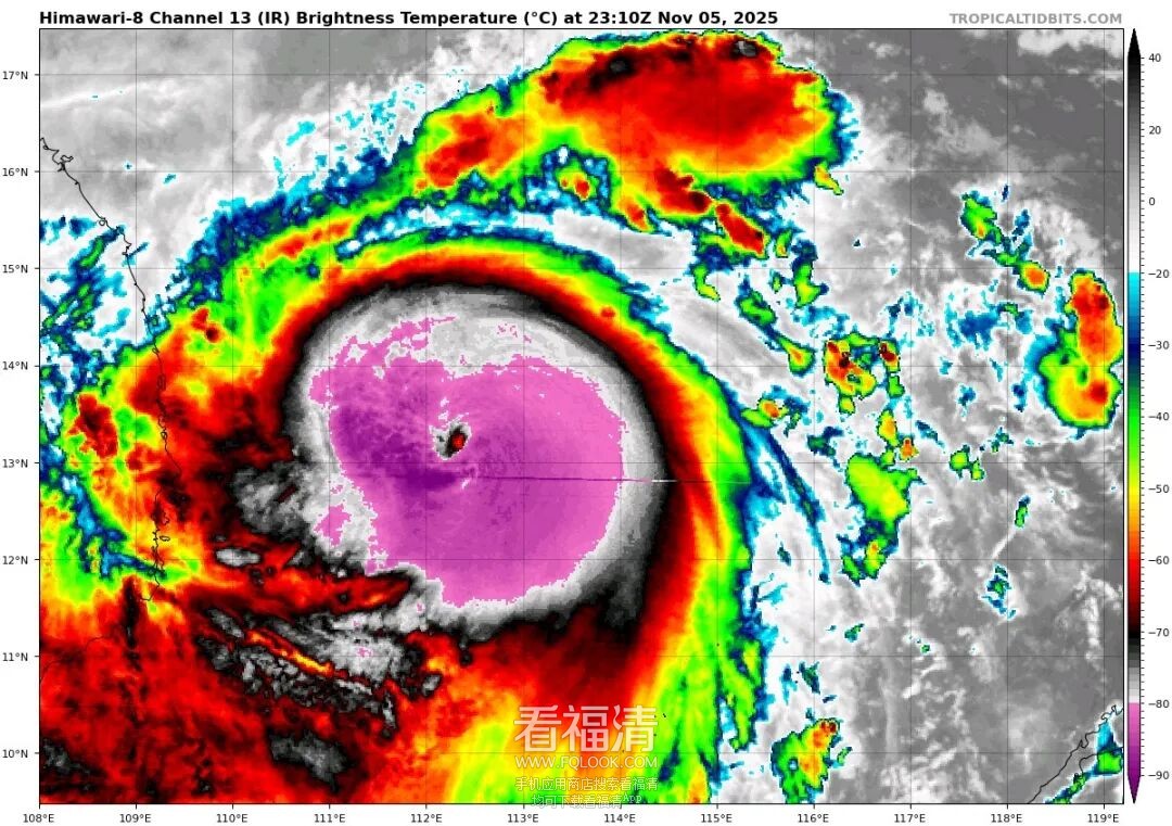
6日凌晨,今年第26号台风凤凰终于命名!并与25号台风海鸥一起,形成了11月双台共舞的罕见场面,另外,凤凰这个名称是由中国香港提供的,还有它并不代表一种神秘动物,而是一座山峰!


100541szl3zytmglkk11ps.jpeg
100541vrkmzk63yeb7i627.jpeg


未来几天,凤凰将一路向西北挺进,最终进入南海东北部,并逐渐加强,巅峰期可达强台风或者超强台风级别。


100541l2h5hknnws259srh.jpeg
100542yvzyf76ukfvenj6s.jpeg
100542bbpw8rry8xc89t9c.jpeg
100542bpxthjuhpiziwhyy.jpeg


从集合路径看,进入南海后,由于副热带高压东退,冷空气南下,种种因素的影响,凤凰可能会出现迷路,停滞或者是原地打转都有可能。


100542kg3zv65g3j6uvhfv.jpeg
100542eqkzzq6y66l877l3.jpeg
100543itkz0ywzucnsj0wn.jpeg
100543r7uu7n9an72mzmod.jpeg


机构方面的具体时间和强度,欧盟人工智能认为,凤凰将在9日达到巅峰,949百帕,相比昨天晚上的预报有所增强,随后登录吕宋岛并于10日进入南海,随后向东北转向,11日登陆台湾省,随后继续北上并逐渐消失!


100543nm34fc9gpmpppzsp.jpeg
100543ftogrxer22jw2dtj.jpeg
100544yi6j9wvhtv0mj9so.jpeg
100544a73xb73jzb5amjtz.jpeg
100544qedtp3qwgieqip9d.jpeg
100545mzg9uunru9n9vuj9.jpeg
100545sggoqggsri9sqto2.jpeg


美国GFS方面,巅峰会来的早一些,8日就可达到923百帕,随后逼近吕宋岛并登陆,11号进入南海,随后转向于12号登陆台湾省,再继续北上并减弱消失!


100545l4at8tzbrwurlbtw.jpeg
100546b2s7d76ddsefwof7.jpeg


同时,中央气象台的降水预报表示,11号到12号,降雨影响主要集中在台湾省南部,12号到13号,将转移到台湾省东北部,同时,福建省东北部以及浙江省沿海,也将会受到明显的风雨影响。

via追风爱好者

看福清——服务全球福清人!
回复

使用道具 举报

全部回复(4)
福清融强贺医生 | 来自福建
双台风?
收起回复
半度微凉 : 的确如此
2025-11-8 20:03 来自福建 回复
B Color Smilies
还可输入 个字符
2025-11-6 13:13:55 来自手机
看福清——服务全球福清人!
半度微凉 | 来自福建
注意天气变化
回复 收起回复
B Color Smilies
还可输入 个字符
2025-11-8 20:03:36 来自手机
看福清——服务全球福清人!
清香百合花 | 来自山东
注意防范,安全第一,
回复 收起回复
B Color Smilies
还可输入 个字符
2025-11-9 14:42:33 来自手机
看福清——服务全球福清人!
您需要登录后才可以回帖 登录 | 立即注册 |

手机访问|手机App|Archiver|手机版|小黑屋|关于我们

© 2025 FQLOOK.cn|国家高新技术企业|福清市互联网示范企业|福清市IP访问量前三企业

闽工商网备第350181100079485号|闽B2-20250200|闽公网安备35018102000007号 |闽ICP备07503243号

侵权举报:本页面所涉内容为用户发表并上传,相应的法律责任由用户自行承担;本网站仅提供存储服务;如存在侵权问题,请权利人与本网站联系删除!举报电话:0591-39010577(转8号按键)

GMT+8, 2025-12-6 20:22 , Processed in 0.080728 second(s), 18 queries , MemCache On. |Powered by Discuz! X3.4